Features

This section describes Derisker’s features in detail. For a product overview see User Guide.

Supported standards:

  • ECSS-Q-ST-30-02C — ECSS-Q-ST-30-02C: Design FMEA, Design FMECA, Process FMECA, and Hardware-Software Interaction Analysis (HSIA)

  • ISO 26262-3 — ISO 26262-3: Hazard Analysis and Risk Assessment (HARA) and Functional Safety Concept

  • AIAG & VDA FMEA — AIAG & VDA FMEA Handbook: Design FMEA (DFMEA) with Action Priority (AP) calculation

Coming soon:

  • ISO 26262 other parts (Parts 4–6: System, Hardware, Software design)

  • ISO/SAE 21434: Road vehicles — Cybersecurity

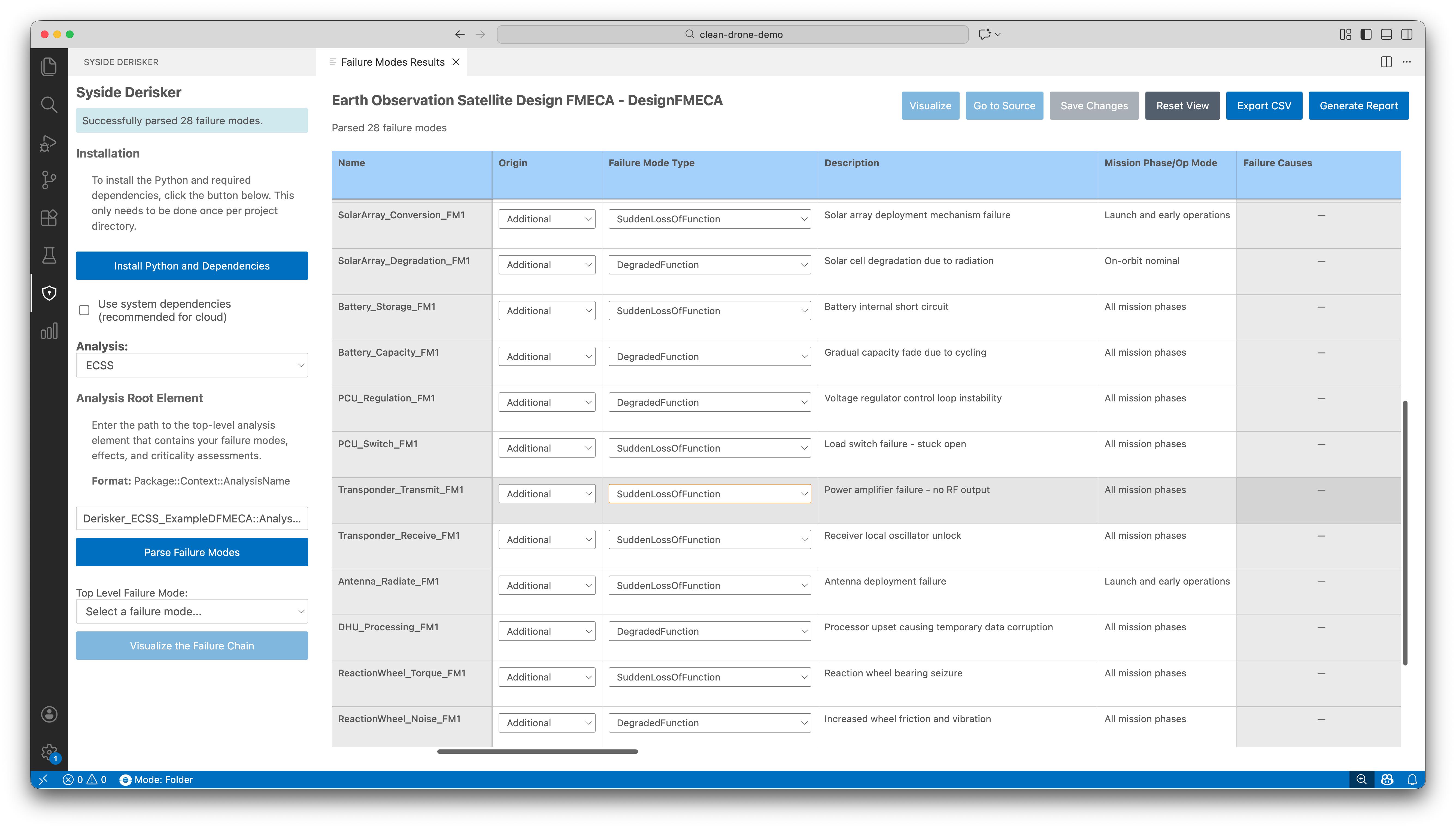
Parse and validate

By selecting the desired standard and entering the required information, Derisker parses the SysML v2 model, validates it, and displays the results in specialized table views. The parser checks for missing or incomplete elements, detects invalid relationships (such as cycles in failure chains), and automatically computes derived values.

../../_images/derisker_features_preview.png

Auto-inherit and auto-calculate risk ratings

Derisker automatically propagates and computes risk ratings across the model hierarchy:

  • Severity flows top-down from effects to causes

  • Probability / Occurrence flows bottom-up from root causes to higher-level failures

  • Detection flows bottom-up from root causes (Process FMECA and AIAG DFMEA)

  • Criticality numbers (CN, AP) are computed using the formula specified by each standard

You set ratings only at the appropriate level; all other values are derived automatically.

Work with table view

Table views provide a quick and easy way to review and edit analysis data without needing to write SysML v2 textual syntax. Editable cells range from free-text fields to drop-down menus. Changes are written back to the SysML v2 model automatically on save.

../../_images/derisker_editing_preview.png

Table view capabilities:

  • Customize visible columns, sort by any field

  • Filter rows by attribute values

  • Color mapping on rated attributes for quick visual assessment

  • Add new elements directly from the table (ISO 26262)

Visualize relationships

Interactive graph diagrams show cause-effect relationships (failure chains) and safety goal hierarchies. Use diagrams to verify structural completeness and communicate results to stakeholders.

  • Pan, zoom, and reset view

  • Right-click nodes to go to source or jump to the corresponding table row

  • Export diagrams as PNG or JPEG

Export and reporting

Share and deliver analysis results in multiple formats:

  • CSV export — full table data with all columns, including computed values

  • Diagram export — PNG or JPEG at current zoom level

  • Report generation — HTML, PDF, and DOCX reports

Select a standard below for detailed feature documentation.